447
2009 PETERBILT 388 TRUCK TRACTOR, VIN/SN:1XPWDB9X49N783557 - T/A, CAT C15 ENGINE, EASTON AUTO SHIFT
Currency:CHF
Category:Construction Equipment
Start Price:0.00 CHF
Estimated At:NA
SOLD
28,000.00CHF+ buyer's premium
This item SOLD at 2018 Mar 13 @ 14:50UTC-05:00 : EST/CDT
Did you win this lot?
A full invoice should be emailed to the winner by the auctioneer within a day or two.
DEMO LOT
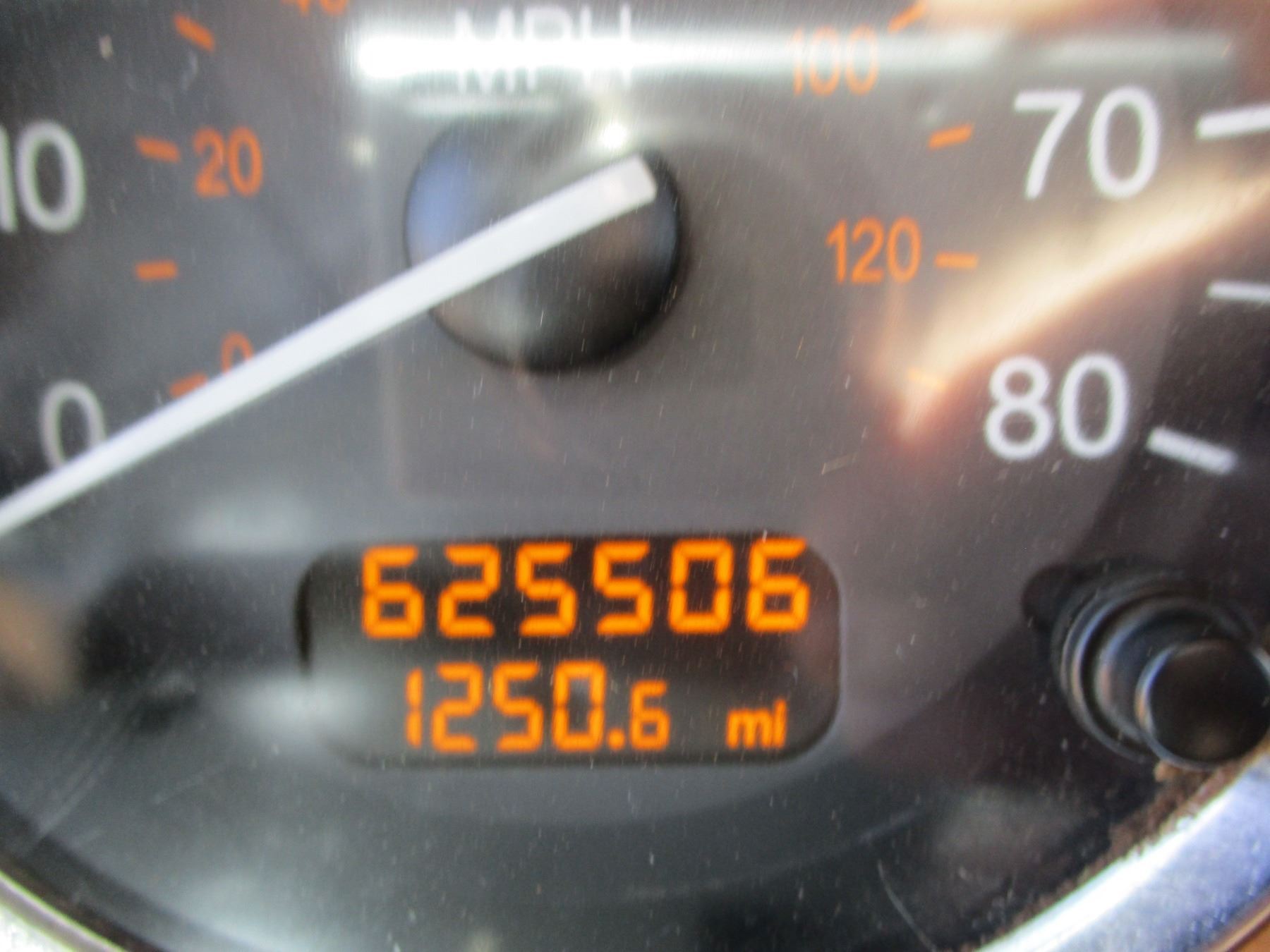
2009 PETERBILT 388 TRUCK TRACTOR, VIN/SN:1XPWDB9X49N783557 - T/A, CAT C15 ENGINE, EASTON AUTO SHIFT TRANS, 40K REARS, 12K FRONT, AIR TRAC SUSP, UNIBILT SLEEPER, ODOMETER READING 625,506 MILES
Auction Location:
3475 Ashley Road, Montgomery, Alabama, 36108, United States
Buyer's Premiums:
| From (Incl.) | To (Excl.) | Premium |
| 0.00 |
Infinite |
15% |
Additional Fees:
Shipping Details:
Shipping is calculated after auction.
Payment Details:
No Info Available
Accepted Payment Methods:
- VISA
- Master Card
- AMEX
- PayPal